ОБЯВЛЕНИЕ № ТСУ-30–1978-55 гр. Плевен, 31.03.2025 г.
715
ОБЯВЛЕНИЕ
№ ТСУ-30–1978-55
гр. Плевен, 31.03.2025 г.
Община Плевен, на основание чл.129, ал.2 от ЗУТ, във връзка с чл.136, ал.1 от ЗУТ съобщава, че със Заповед № РД-12-140/28.03.2025 г. на Зам. Кмет на Община Плевен е одобрен:
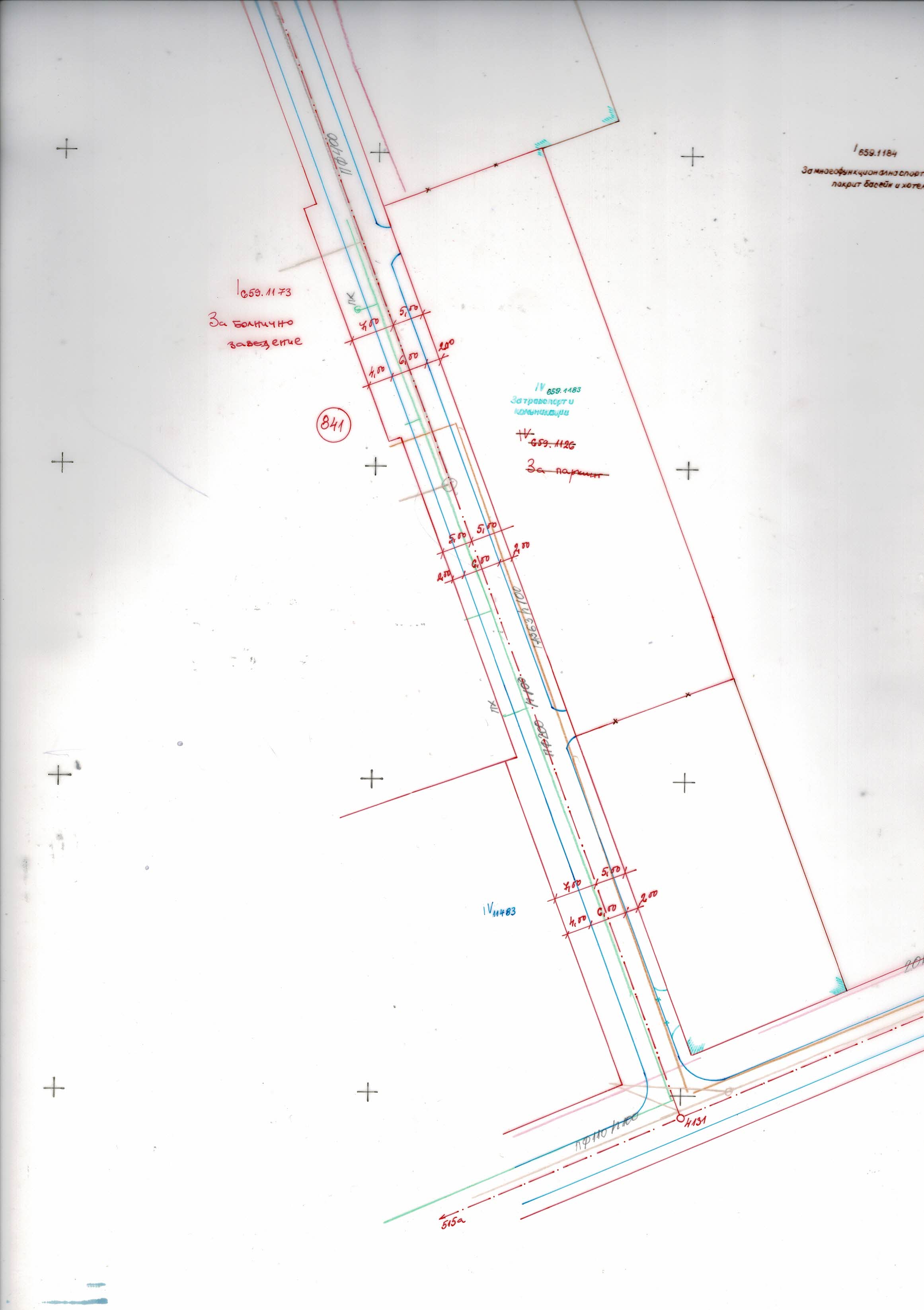
Изменение на Подробен устройствен план – План за регулация и застрояване за УПИ ІV - 659.1126 - За паркинг и УПИ І – 659.1143 – За многофункционална спортна зала, покрит басейн и хотел, кв.839 по плана на гр. Плевен
Проектът се намира в стая № 98 на Общината и може да бъде прегледан в дните понеделник, вторник, сряда, четвъртък и петък от 9.00 до 11.00 часа, както и на сайта на Община Плевен.
. На основание чл. 215, ал.4 от Закона за устройство на територията заповедта може да се обжалва в 14 (четиринадесет) дневен срок от съобщаването и пред Административен съд гр. Плевен , чрез Община-Плевен.
Жалбата се подава в два екземпляра в център за обслужване на граждани при Община Плевен – зала “ Катя Попова”.
При обжалване за образуване на съдебно производство следва да бъде внесена държавна такса на основание чл. 2б от Тарифа №1 към Закона за държавните такси от жалбоподателите, както следва:
-физически лица, които не са търговци и юридически лица с нестопанска цел- 10лв
-други юридически лица и физически лица- търговци по смисъла на търговския закон –50лв.
Таксата се внася по сметка на Административен съд гр. Плевен.
арх. Росица Томова:
Началник отдел „ТО“
Община Плевен
